Apple tree problems can frustrate even the most dedicated home gardeners. From flowering in spring to harvest in fall, a lot can go wrong along the way. Whether you’re growing apples for the first time or caring for a long-standing tree, knowing what to watch for is key to keeping your apple tree healthy and productive. In this guide, we’ll walk through the top five issues that commonly affect apple trees—along with smart, effective solutions to help you protect your harvest and enjoy beautiful, fruit-bearing trees year after year.
Table of Contents
🍏 1. Apple Scab
One of the most common fungal diseases to affect an apple tree is apple scab. It shows up early in the season and can ruin both the appearance and quality of your fruit.
🕵️♂️ What to Look For
The first signs usually appear on the leaves: olive-green or brown circular spots with a soft, velvety texture. As the infection progresses, these spots darken and can lead to leaf drop. On the fruit, scab causes rough, corky patches that make apples inedible.
🛡️ How to Treat It
The best way to control apple scab is to plant resistant apple varieties. If you already have a susceptible tree, apply a fungicide early in spring—ideally just before or as the buds open. Removing fallen leaves and fruit from around the base of the tree also helps reduce the spread of the fungus.
Consistent pruning to improve airflow can prevent moisture buildup, which encourages fungal growth. Monitoring your tree every spring can help you catch symptoms before they spread.
🐛 2. Codling Moths

Few pests are as frustrating to an apple tree grower as codling moths. These small but destructive insects are notorious for ruining fruit from the inside out.
🔍 Signs of Infestation
Your apples might look perfect on the outside—but when you cut them open, you’ll find brown tunnels, mushy flesh, and sometimes a small, unwelcome worm inside. That’s the larva of the codling moth. They enter the fruit shortly after hatching and feed from the core outward, leaving behind excrement called frass.
🚫 How to Control Them
Codling moths are difficult to manage once they’ve entered the fruit, so prevention is key. Use pheromone traps in early spring to monitor activity and disrupt the mating cycle. Some growers also apply a naturally occurring codling moth virus (Cydia pomonella granulovirus) that targets larvae without harming beneficial insects.
If infestation is severe, targeted organic insecticides can help—but they need to be timed precisely to catch the larvae before they burrow into the apple. Clean up any fallen or infected fruit to stop the cycle from continuing.
🔥 3. Fire Blight

Fire blight is a fast-spreading bacterial disease that can severely damage or even kill an apple tree if not addressed quickly. It’s especially common during warm, wet spring weather.
🌿 How to Identify Fire Blight
The name says it all—affected trees look like they’ve been scorched by fire. You’ll see wilted, blackened shoots and leaves curling into a distinctive shepherd’s hook shape. Infected branches often ooze a sticky, amber-colored sap, and fruit may turn brown and shrivel before ripening.
The bacteria live in cankers—sunken lesions on the trunk or branches—and can spread quickly via rain, pollinators, or even pruning tools.
🧼 How to Manage It
Prune out infected branches during the dormant season (winter), cutting at least 8–12 inches below visible damage. Always sanitize your pruning tools between cuts to prevent further spread.
Preventative treatments, such as copper-based sprays or Bordeaux mixtures, should be applied in early spring, just before blooming. Avoid excessive nitrogen fertilization, which encourages the kind of lush, tender growth that’s most susceptible to fire blight.
Keeping your apple tree healthy and well-pruned is your best defense against this serious disease.
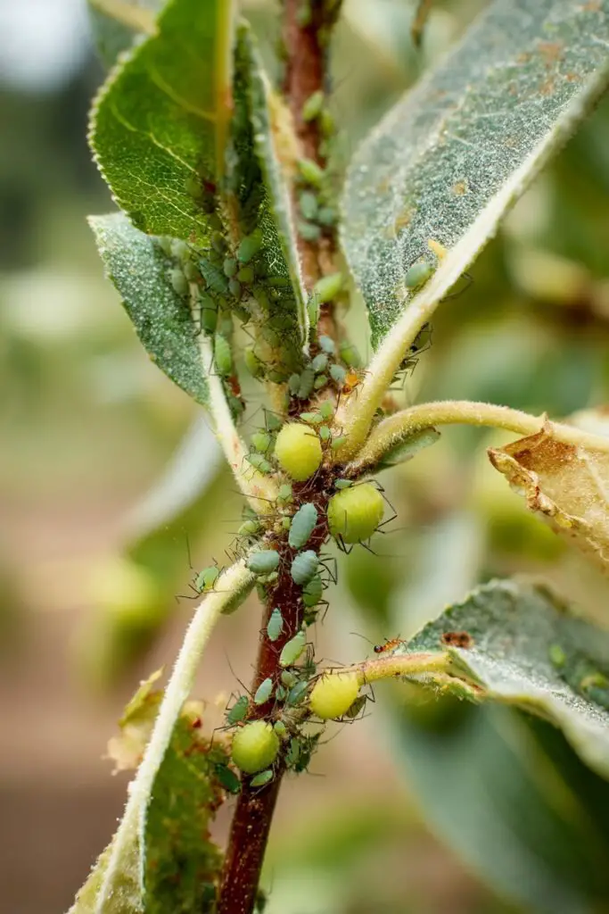
🐜 4. Aphids

Tiny but tenacious, aphids are a frequent nuisance for any apple tree grower. These soft-bodied insects cluster on leaves and shoots, feeding on sap and weakening the plant over time.
🧪 How to Spot Them
Look for curling or yellowing leaves, especially on new growth. You may also notice a sticky residue—called honeydew—on the foliage, which can attract ants and lead to the growth of sooty mold. Aphids are usually visible in clusters and may be green, black, or even fuzzy white, depending on the species.
Two types are especially common on apple trees:
- Green Apple Aphid – Targets leaves, reducing vigor
- Woolly Apple Aphid – Also affects roots and can cause galls (swollen, damaged tissue)
🌼 How to Control Aphids Naturally
The good news? Aphids have many natural predators, including ladybugs, lacewings, and parasitic wasps. Encourage these beneficial insects by avoiding broad-spectrum insecticides that may harm them.
For heavy infestations, try:
- Insecticidal soap or neem oil (apply to the underside of leaves)
- Hosing off aphids with a strong spray of water
- Planting resistant rootstocks, especially in areas prone to woolly aphids
A balanced, healthy apple tree is less likely to suffer long-term damage from aphid activity.
🌫️ 5. Powdery Mildew

Powdery mildew is a fungal disease that can seriously affect an apple tree’s ability to flower and produce fruit. It thrives in warm, dry conditions, making it a common problem in late spring and early summer.
👀 How to Identify It
The symptoms are easy to spot: a white or gray powdery coating on leaves, buds, and even young fruit. Infected leaves may curl upward, and blossoms may fail to open or fall off prematurely. If left untreated, the disease can stunt growth and reduce fruit quality.
Powdery mildew often survives the winter in infected buds and reappears as soon as new growth begins.
🧪 How to Treat and Prevent
Start by pruning infected shoots in early spring to remove sources of reinfection. Ensure your apple tree has good airflow and sunlight, which discourages fungal growth.
For prevention, apply a fungicidal spray just before the bud break stage, especially if your tree has had issues with mildew in the past. Sulfur-based or potassium bicarbonate sprays are commonly used and effective.
Avoid over-fertilizing with nitrogen, as soft, lush growth is more vulnerable to infection.
Maintaining a clean, well-spaced apple tree with good air circulation is the best way to prevent recurring mildew problems.
🌳 General Apple Tree Care Tips

Preventing problems starts with strong, consistent care. A healthy apple tree is more resilient against pests, disease, and environmental stress.
☀️ Sunlight & Spacing
Apple trees thrive in full sun, needing at least 6 to 8 hours of direct light each day. Make sure to plant your tree in an open area, well away from dense tree cover or buildings that could block sunlight.
Good spacing is essential. Allow for ample airflow between trees to reduce the risk of fungal infections. Avoid planting near dense shrubs or wooded areas.
🌱 Soil & pH
Use well-drained, slightly acidic soil, ideally with a pH between 6.0 and 6.5. If you’re unsure of your soil’s condition, a simple test from a local extension service can give you exact readings and amendment recommendations.
Adding compost or aged organic matter will improve soil texture and fertility, giving your apple tree the nutrients it needs to thrive.
💧 Watering & Fertilizing
Water deeply and consistently, especially during dry spells and the first few years after planting. Keep the soil moist but not soggy.
Fertilize annually in early spring with a balanced, slow-release fertilizer. Avoid overfeeding, which can cause excessive leafy growth at the expense of fruit production.
👀 Regular Monitoring
Inspect your apple tree regularly for signs of disease, pests, or stress. Early detection is key to preventing small issues from becoming serious threats.
If you’re unsure about what you’re seeing, consult a local arborist or gardening expert for help with diagnosis and treatment.
✅ Conclusion: Keep Your Apple Tree Healthy and Thriving
Caring for an apple tree is incredibly rewarding—but it comes with its share of challenges. From fungal diseases like apple scab and powdery mildew to pests like codling moths and aphids, knowing what to watch for is half the battle. Add in good pruning habits, proper soil conditions, and consistent monitoring, and you’ll set your tree up for long-term success.
With the right approach, your apple tree can produce crisp, juicy fruit season after season—and become a centerpiece of your garden for years to come.
